Byg dit drømmehus - Byggegrunde sælges
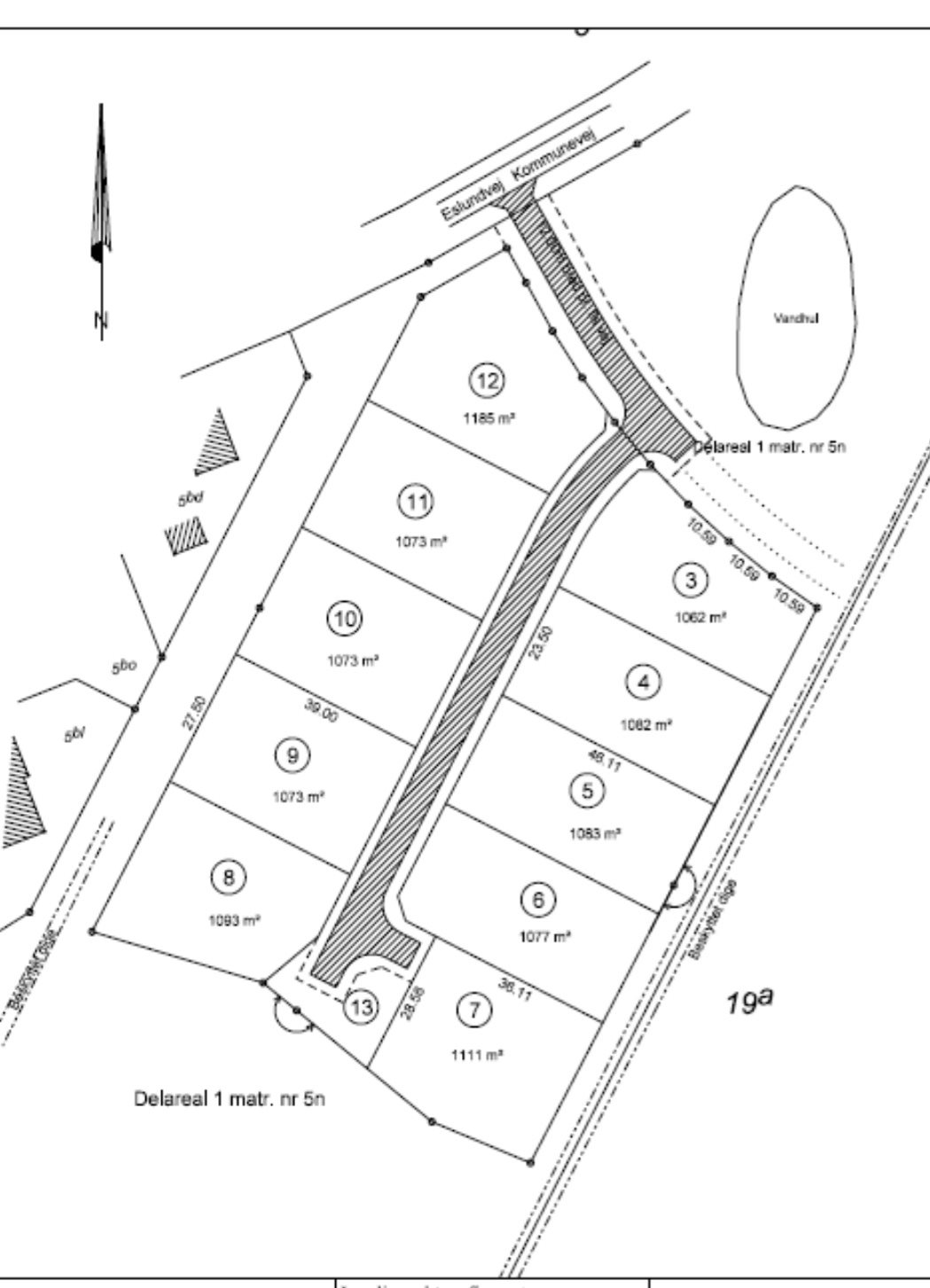
Der er nu 6 grunde til salg, så du kan stadig nå at få dine boligdrømme til at gå i opfyldelse.
Beliggenheden af jeres drømmehus er altafgørende, og derfor skal du tage et kig på disse skønne byggegrunde til salg i Nim tæt på Brædstrup by.
Nim har godt 750 indbyggere. Der er et stabilt, varieret og aktivt foreningsliv, der møder stor opbakning fra de lokale. Det gælder aktiviteter som småbørnsgymnastik, fodbold og håndbold, yoga, tennis og badminton. Derudover byder Nim på både en cykelklub, et sangkor og en ungdomsklub.
Nim ligger på kanten af et stort naturområde – ned til Gudenådalen og Nim Skov. Landskabet er let kuperet og omgivet af marker og skovstrækninger, og der er flere gode udflugtsmål i umiddelbar nærhed. Der er godt 8 km til Brædstrup, 14 km til Horsens midtby og ca. 7,5 km til E 45, afkørsel 56.
Nim har kommunale dagplejere, en børnehave og folkeskole med 7 klassetrin (0.-6. klasse) med SFO-ordning. Børnene skal herefter starte i 7. klasse enten på Lund Skole eller Brædstrup Skole. Foruden pasningstilbud og skole byder Nim også på en ungdomsklub.
Grundende sælges byggemodnet, hvilket betyder at tilslutningsbidrag til kloak er betalt, forsyningslednings bidrag til vandværket er betalt, tilslutningsbidrag til elforsyning er betalt.
Ønsker du at høre mere omkring grundende er du velkommen til at give os et kald allerede i dag.
Økonomien i boligen
Skal Nykredit Bank ringe for en snak om din boligøkonomi?
Fortæl os, hvornår det passer dig, så ringer en rådgiver fra Nykredit Bank dig op til en uforpligtende snak om dine lånemuligheder. Så er du et skridt tættere på din nye bolig.
Vi bruger dine oplysninger til at forberede samtalen. Læs mere i Nykredit Banks privatlivspolitik
Kontakt

Kontakt
Rasmus Friis Kronborg
Skal du også sælge?
Kontakt os og få en gratis salgsvurdering, så ved du hvad din bolig er værd.
- Få et hurtigt estimat af salgspris eller en grundig vurdering.
- Få et indblik i, hvad din ejendom er værd på markedet lige nu.
- Find ud af, hvor meget du selv kan købe for, hvis du ønsker at skifte bolig.
Hvor langt er der til nærmeste?
Se hvor lang tid der er mellem denne bolig og en anden adresse
Fakta om Horsens Kommune
INDBYGGERE
GRUNDSKYLD
KOMMUNESKAT
SKOLER
BØRNEPASNING
Opret dig i køberkartoteket og få besked om lignende boliger.
Få direkte besked, når der kommer relevante nye boliger til salg, der matcher dine ønsker. Du ser også de boliger, vi får til salg, som vi ikke viser på Nybolig.dk.
Tilpas filtre og opret