Sjælden mulighed i Sabro – bolig med tre byggegrunde!
Velkommen til Vistoftvej 40 i hjertet af Sabro – en sjælden mulighed, hvor du både får en eksisterende bolig med mange m2 og tre nyudstykkede byggegrunde med et attraktivt udviklingspotentiale. Ejendommen henvender sig til både den store familie, investoren eller den professionelle udvikler, som ønsker at kombinere bolig og projekt i én samlet handel.
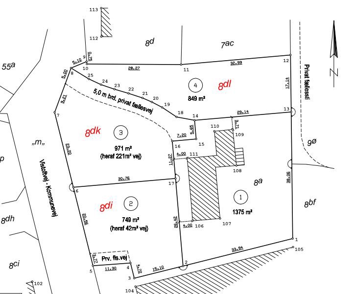
Boligen, som ligger på matrikel 1, er opført i en charmerende stil og rummer et godt planløsningspotentiale. Der foreligger allerede tilstandsrapport, elinstallationsrapport og energimærke, og huset er omfattet af HE-ordningen. Det gør overtagelsen tryg og overskuelig for køber. Boligen kan anvendes som helårsbolig, udlejes eller benyttes som base under udviklingen af de omkringliggende grunde.
De tre tilhørende byggegrunde, som er matrikulært udstykket (matr. 2, 3 og 4), giver dig mulighed for at realisere et spændende boligprojekt i et velfungerende og populært lokalområde. Ifølge lokalplanen må hver grund bebygges med en bebyggelsesprocent på op til 25 %, og der må opføres én etage med udnyttelig tagetage samt eventuelt kælder. Bygningshøjden må ikke overstige 8,5 meter over terræn, hvilket åbner op for opførelsen af moderne parcelhuse med god arkitektonisk frihed.
Ejendommen sælges samlet, men der udarbejdes to købsaftaler – én for boligen med tilhørende rapporter og HE-dækning, og én samlet for de tre byggegrunde. Det giver både fleksibilitet og gennemsigtighed i processen.
Beliggenheden i Sabro er i særklasse. Du har kort afstand til både skole og daginstitutioner, gode indkøbsmuligheder såsom Brugsen og Rema 1000, samt adgang til et aktivt fritidsliv med idrætsfaciliteter og stisystemer. Området byder på grønne omgivelser og et stærkt lokalsamfund, og samtidig er du kun fem minutter fra E45 og cirka et kvarters kørsel fra Aarhus C. Her får du med andre ord en sjælden kombination af rolig hverdag og hurtig adgang til byens puls.
Kontakt os i dag for yderligere information, kortmateriale og fremvisning. Dette er en af de helt særlige ejendomme, hvor bolig, investering og fremtidige muligheder smelter sammen til et stærkt tilbud.
Økonomien i boligen
Skal Nykredit Bank ringe for en snak om din boligøkonomi?
Fortæl os, hvornår det passer dig, så ringer en rådgiver fra Nykredit Bank dig op til en uforpligtende snak om dine lånemuligheder. Så er du et skridt tættere på din nye bolig.
Vi bruger dine oplysninger til at forberede samtalen. Læs mere i Nykredit Banks privatlivspolitik
Kontakt

Kontakt
Ulrik H. E. Petersen
Skal du også sælge?
Kontakt os og få en gratis salgsvurdering, så ved du hvad din bolig er værd.
- Få et hurtigt estimat af salgspris eller en grundig vurdering.
- Få et indblik i, hvad din ejendom er værd på markedet lige nu.
- Find ud af, hvor meget du selv kan købe for, hvis du ønsker at skifte bolig.
Hvor langt er der til nærmeste?
Se hvor lang tid der er mellem denne bolig og en anden adresse
Fakta om Århus Kommune
INDBYGGERE
GRUNDSKYLD
KOMMUNESKAT
SKOLER
BØRNEPASNING
Opret dig i køberkartoteket og få besked om lignende boliger.
Få direkte besked, når der kommer relevante nye boliger til salg, der matcher dine ønsker. Du ser også de boliger, vi får til salg, som vi ikke viser på Nybolig.dk.
Tilpas filtre og opret